
By Sunayana Prabhu
HOLMDEL – An applicant returned a scaled-down concept plan to the zoning board, to develop medical office buildings in Holmdel near the Memorial Sloan Kettering Monmouth cancer center (MSK) in Middletown but resistance from neighbors continues. While the board is yet to make its final decision on the revised plan, nearby residents hired a law firm to cross-examine the applicant.
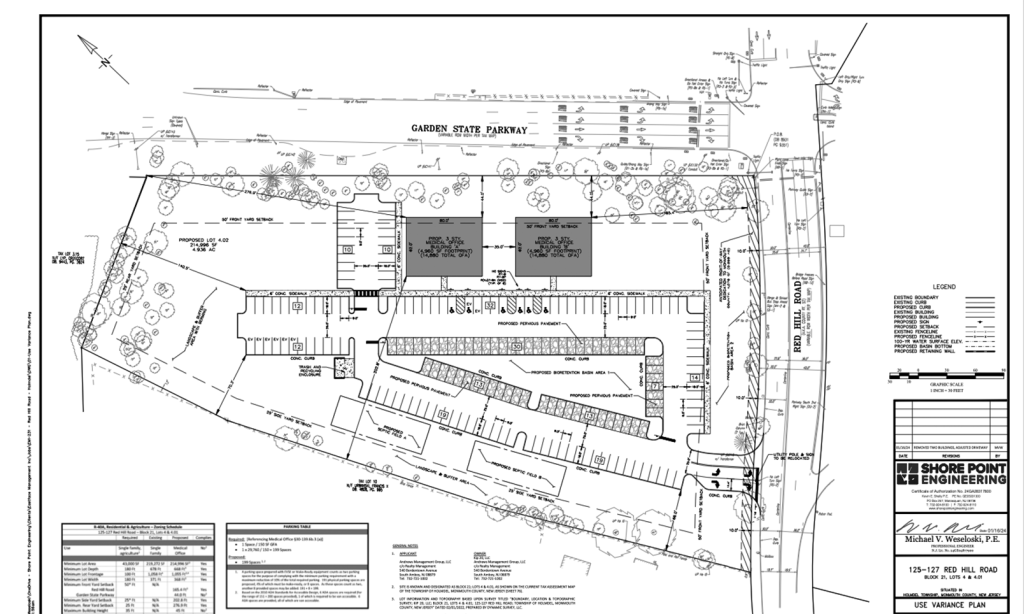
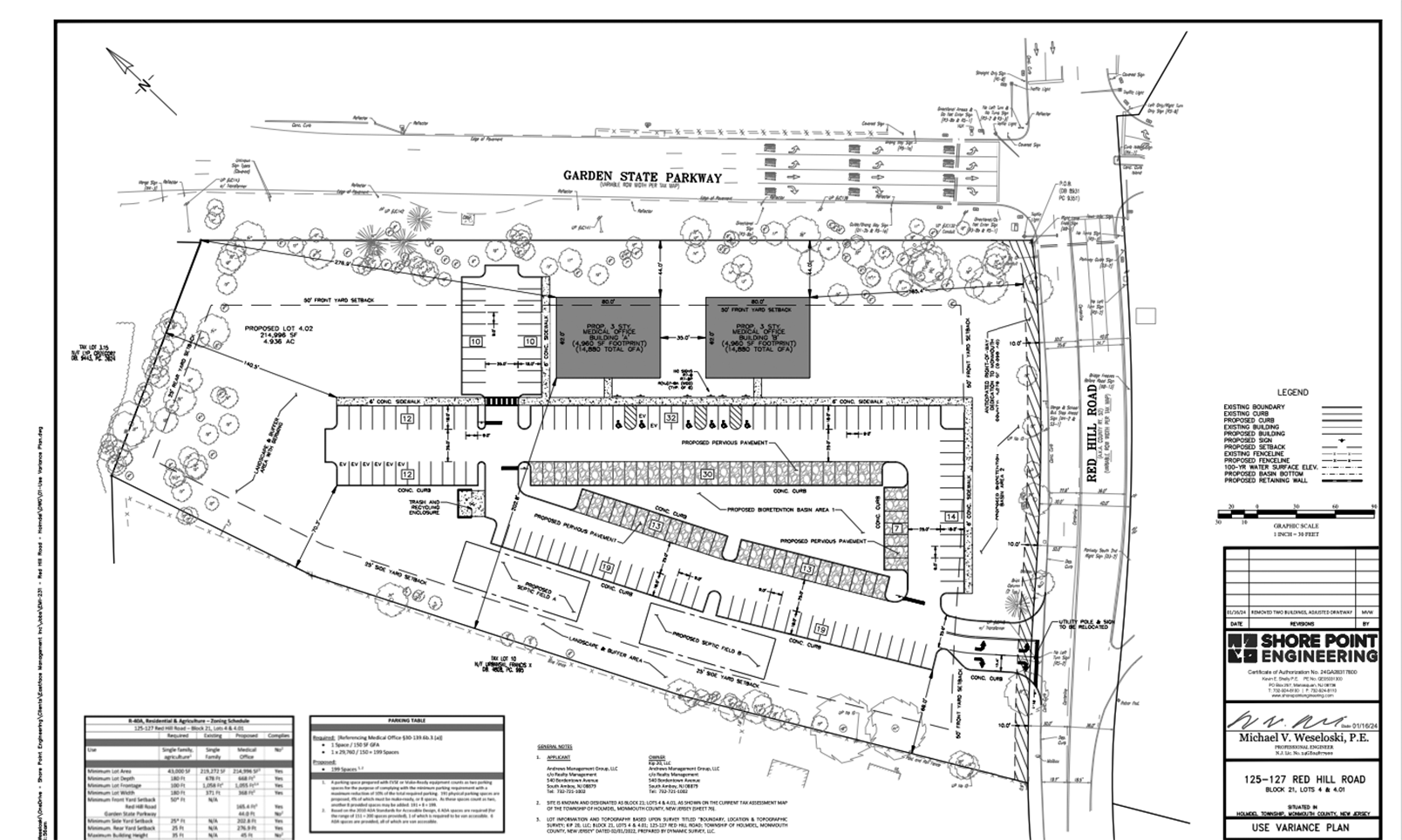
Andrews Management Corp LLC has been seeking a use variance approval to construct two medical buildings totaling nearly 30,000 square feet, each around 45 feet tall, on the approximately 5-acre lot. The property at 125-127 Red Hill Road is within the R-40A residence and agriculture zone, where medical office uses are not permitted.
The application was first heard in September and was scaled down from four three-story buildings to two three-story buildings. The application has been carried to the April 16 zoning board meeting after a lengthy discussion of concept plans last week.
At the zoning board’s Feb. 19 meeting, the applicant’s engineer and traffic expert presented testimony. A formerly occupied single-family house on the property has been demolished and the site is currently vacant except for portions of a former gravel driveway providing access from Red Hill Road. The remainder of the site is wooded with some open field areas and undisturbed land and other vegetation.
According to the testimony of Michael Weseloski, the applicant’s principal engineer, the two proposed buildings, a sidewalk, parking area and driveways were shifted a few feet southwest on the property in order to move them farther away from the Garden State Parkway right-of-way that abuts the northeastern property line.
The shift also reduced a retention basin area and resulted in the loss of three parking spaces. The buildings are now 16 feet farther away from the parkway right-of-way, eliminating the need for a front yard setback variance. “One of the main benefits” of these shifts, Weseloski said, is the relocation of the septic fields to an area between the two buildings and the parkway right-of-way.
Weseloski said “substantial reductions” were made in the revised plan to reduce the total lot coverage from 37% to 26%. This was achieved by “reducing the parking and really focusing on removing the spaces that were in close proximity to the adjoining residential areas.” Parking was reduced from 199 to 108 spaces.
Traffic expert John Rae provided an updated study from September that analyzed vehicular volume and time on Red Hill Road. The result showed “there are more than sufficient gaps to safely get left turns and right turns out of the proposed site driveway,” Rae said, noting that his analysis found over 87 gaps of at least 8 seconds during the critical afternoon peak hours. A gap of around 20 seconds between vehicles is enough time for multiple cars to get in and out of a driveway.
Several board members and residents raised concerns about the impact on traffic flow. Resident Regina Stephanie said she travels on the road every day and between 8 a.m. and 9 a.m. the road is “very, very crowded.” The board also discussed the need for a left-turn lane on Red Hill Road to accommodate traffic entering and exiting the site. Rae noted the possibility of widening the road to accommodate a potential left turn lane from the property in the future, a decision that would be made by the Monmouth County Planning Board.
Attorney John Kaplan, on behalf of the neighboring property owners, cross-examined the traffic expert, raising concerns about safety issues and accidents in the area, particularly near the MSK site. Rae said he looked at the Garden State Parkway off-ramp and MSK’s entryway and concluded that the project “would not have a significant impact on the op- eration of the traffic signal. There would be very minimal increases in delay, no decrease to the level of service, and no significant impact.”
Kaplan asked Weseloski if he considered the project site an “environmentally sensitive area.” Although the applicant had not prepared an environmental im-pact statement, Weseloski said he doesn’t consider the property to be an environmentally sensitive site. The applicant’s attorney, Salvatore Alfieri, clarified that unless the board asks the applicant “to go beyond the concept plan, it’s premature to do that type of investigation and that kind of design work.” These details are expected to follow in the application’s later iterations.
Board chair Dimitri Ofanidapulos asked if the applicant could assure “there would be no more additional buildings put on the property at any future time.”
“It’s hard to predict,” Alfieri replied.
Township planner Kate Keller said if the applicant were to require any changes in the site plan in the future, it “would have to come back to this board, whether it was an expansion of this use or a proposed (plan) for another use.” Additionally, the board requested the applicant provide visuals to illustrate the building heights.
The board scheduled a site visit April 5 to better visualize the layout of the proposed development, including placement of the buildings, parking areas, septic fields and a required “hot box” structure for utility equipment.
The article originally appeared in the February 27 – March 5, 2025 print edition of The Two River Times.












